TransPhoto

Фотографии публикуются на сайте как есть и не имеют цели продвижения какой-либо политической и/или идеологической позиции.

Материалы предоставляются пользователями и не являются отражением мнения администрации сайта.

Закрыть
Филадельфия — Схемы
  ФиладельфияСхемы
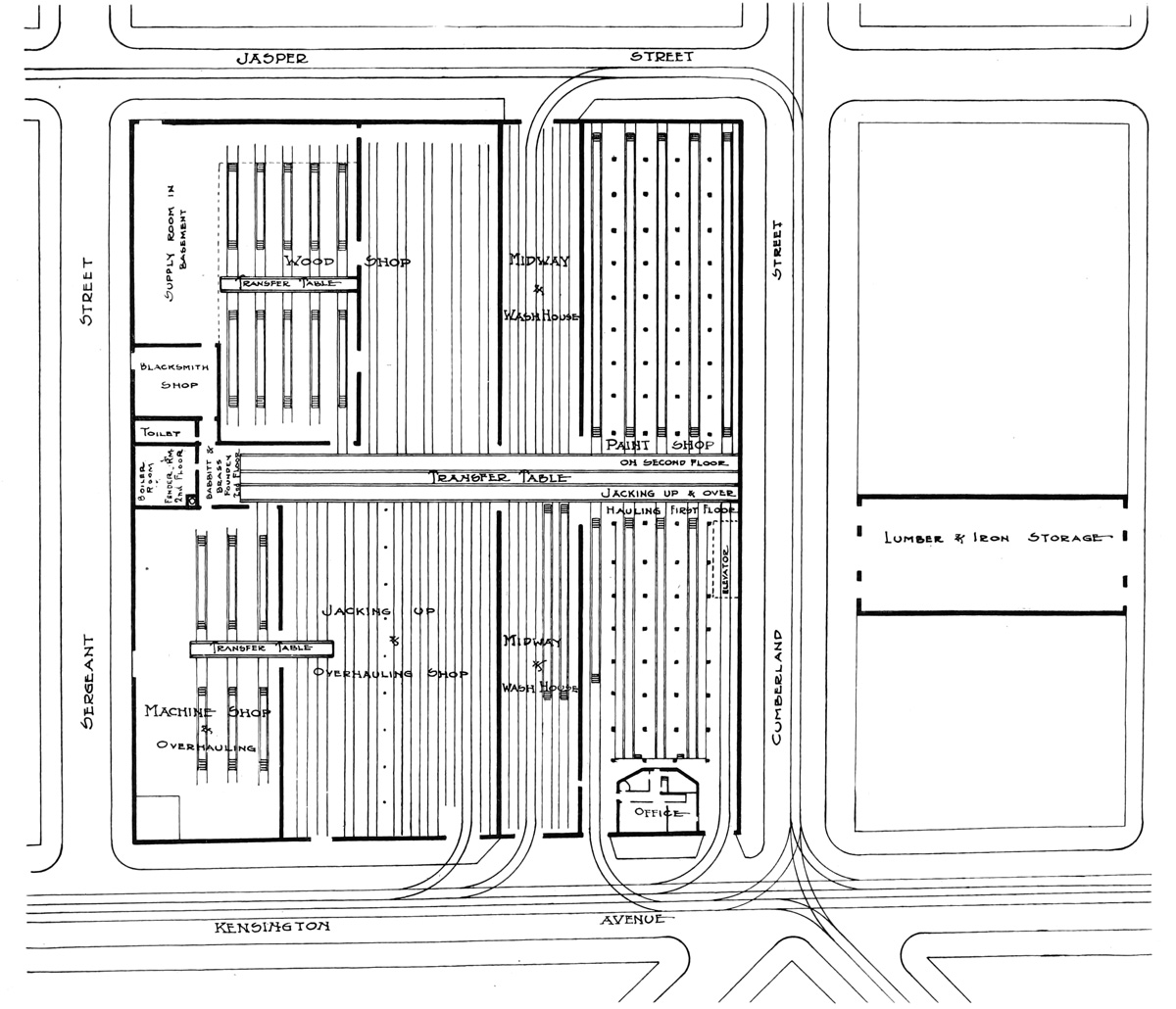
Ground layout plan of the Kensington Avenue shop plant of the Philadelphia Rapid Transit Company, showing location and arrangement of the new structure upon the Cumberland Street side

Street Railway Journal, volume 24, number 10 (9/3/1904), page 311

Прислал AlexSan · Одесса           Дата: 1904 г.

Статистика

Лицензия: Общественное достояние
Опубликовано 26.12.2020 21:48 MSK
Просмотров — 181

Подробная информация

Оценка

Рейтинг: +3

Ваш комментарий

За обсуждение политики будет выноситься бан на 1 месяц и более.
Вы не вошли на сайт.
Комментарии могут оставлять только зарегистрированные пользователи.