Схемы
 |
Constanţa
Схема трамвайных и троллейбусных линий
3 декабря 2010 г. Автор: tomwoj777
|
 |
City transport map from 2009.
The tram system has closed last year in 2008.
The last trolleybus line 48 still operates, but will be closed next year in 2010.
• • •
Схема городского транспорта от 2009 г.
Трамвайная система закрылась в прошлом 2008 году.
Последний троллейбусный маршрут 48 ещё работает, но будет закрыт в следующем, 2010 году.
Map: RATC
Август 2009 г. Прислал Ymtram
|
 |
Map: RATC
2008 г. Прислал Ymtram
|
 |
Map: RATC
2003 г. Прислал Ymtram
|
 |
The official map from 1999 shows a unique fact:
the entire city of Constanța used to be served exclusively with electric transport
with buses operating only on the fringes of the city.
• • •
На официальной карте от 1999 г. показан уникальный факт:
весь город Констанца ранее обслуживался исключительно электротранспортом
тогда как автобусы ходили только на окраинах города.
Map: RATC
1999 г. Прислал Transira
|
 |
Схема трамвайных и троллейбусных линий
1999 г. Автор: tomwoj777
|
 |
Старые фотографии
This unique map from 1982 shows the former route 45, the alternative line to Tomiș N.
The line existed between the late 1970s and about 1984.
• • •
На этой уникальной карте 1982 г. показан бывший маршрут 45, альтернативный вариант троллейбуса на Tomiș N.
Линия существовала с конца 1970-х гг. до приблизительно 1984 г.
Photo by Richard Lomas.
1982 г. Прислал Ymtram
|
 |
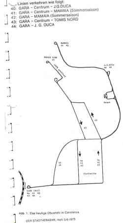
This unique map from 1975 shows the former direct trolleybus line between the main railways station and Pescăria, Mamaia via Bulevardul Vladimir Ilici Lenin (nowadays Bulevardul Mamaia), without entering the city center (marked stadtmitte in German on this map).
The line existed in the 1970s, and was later abandoned.
It was served by routes 42 and 44.
• • •
На этой уникальной карте от 1975 г. показана бывшая троллейбусная линия, связывающая напрямую ж.д. вокзал и Pescăria, Mamaia по бульвару Владимира Ильича Ленина (ныне Bulevardul Mamaia), без заезда в центр города (на немецком языке отмечен как Stadtmitte).
Линия существовала в 1970-х годах, и позже была закрыта.
По линии ходили маршруты 42 и 44.
Source: Tram Club Romania
Июнь 1975 г. Прислал Ymtram
|
Показано изображений: 10 из 10
Фотографии отсортированы по дате съёмки, вверху самые новые.
|